Vai al contenuto

Recommended Posts

Inviato

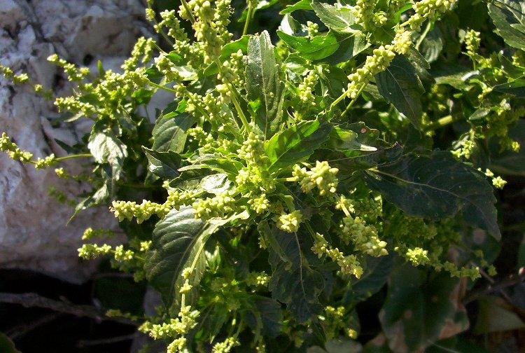
Nome del taxon: Mercurialis annua L.

Nome italiano: Mercorella comune

Nome della famiglia: Euphorbiaceae

Forma biologica: T scap

Periodo di fioritura: I-XII

Altitudine minima: 0 m

Altitudine massima: 1300 m

Regioni in cui è presente: FRI VEN TRE LOM PIE LIG EMI TOS MAR UMB LAZ ABR MOL CAM PUG BAS CAL SIC SAR

Frequenza al Nord: C

Frequenza al Centro: C

Frequenza al Sud: C

Frequenza nelle Isole: C

Corologia: Paleotemp.

post-3373-1128503697.jpg

×
×
  • Crea Nuovo...

Important Information

Termini d'uso Informativa sulla riservatezza