Gruppo Botanico AMINT Inviato 5 Novembre 2008 Inviato 5 Novembre 2008 Fagus sylvatica L. Tassonomia Regno:Plantae Divisione:Magnoliophyta Classe:Magnoliopsida Ordine:Fagales Famiglia:Fagaceae Nome italiano Faggio comune Etimologia Il termine latino Fagus (italiano = Faggio) trae origine dal sostantivo greco-dorico Phāgós (greco classico = Phēgós), che stava ad indicare una particolare quercia i cui frutti erano edibili anche dall'uomo; sylvatica dal latino silvaticus = che vive nei boschi. Descrizione Pianta decidua, che può raggiungere i 40 metri di altezza, fusto di colore grigio cenere, liscio, con chioma folta e globosa, può costituire boschi monospecifici (faggete), o foreste in associazione ad altre latifoglie o ad abeti e pecci. Ha un lento accrescimento, ma è molto longevo, potendo superare i 200 anni di età. Foglie Le foglie sono alterne, di un colore verde-lucido, ovate, con margine ondulato e apice appuntito, glabrescenti a maturità e con ciuffi di peli rossastri all'ascella delle nervature della pagina inferiore . Fiori F. sylvatica è una specie monoica, cioé sulla stessa pianta sono presenti sia i fiori maschili, in amenti penduli e di colore giallastro, sia quelli femminili, disposti in infiorescenze biflore, verdastri, eretti, contornati da una cupola formata da tante brattee lineari-acute concresciute alla base. Frutti I frutti sono acheni coriacei chiamati faggiole o faggine, bruni a maturità, di solito portati in numero di due entro la medesima cupola che avvolgeva l' infiorescenza femminile, e le cui brattee diventano spinescenti (a volte nella cupola è presente un unico achenio per aborto di uno dei due fiori); a maturità la cupola si apre in 4 valve per liberare i frutti in essa contenuti. Le faggiole sono cibo ben gradito dagli scoiattoli. Periodo di fioritura Il faggio fiorisce verso maggio. Territorio di crescita Specie spontanea dei Paesi dell'Europa occidentale, fino alla Polonia e al Mar Nero. Cresce allo stato spontaneo in tutte le Regioni italiane, fino a 2000 metri di quota, ad esclusione della Sardegna, dove, in limitate aree, si sta naturalizzando. Habitat Condivide il territorio: col castagno, pini, betulle, oppure da solo, forma faggete immense. Somiglianze e varietà Fagus purpurea (Ait.) Schneid Specie protetta In alcune regioni italiane, il Corpo Forestale delle Stato, ha censito alcuni faggi secolari e li ha decretati "flora protetta". Specie presente nell'elenco all'art. 7 della L. R. 15 novembre 1974, n. 53 della Regione Veneto tra le specie di cui è vietata la raccolta quando sono allo stato arbustivo. Specie compresa tra gli alberi sottoposti a tutela dall'art. 12 della L. R. 19 novembre 2001, n.28 della Regione Umbria. Costituenti chimici Sostanze fenoliche, flavonoidi, creosoli, mucillagini, inulina, potassio, ferro, calcio, solfati, tannini. Uso Alimentare Le foglie di faggio bollite, sono al pari, delle foglie di cavolo, ma non danno odore in cucina, e si possono fare ottimi risotti. Le gemme bollite in aceto, si possono conservare, sott'olio. Le "fagiole" sono usate come mangime per i suini e bovini. I frutti del faggio, le faggiole, possono essere mangiati crudi o leggermente tostati. Possono essere anche usati come un surrogato del caffè. La prudenza, tuttavia, sconsiglia un intenso uso alimentare del frutto, specie crudo, vista la presenza di saponine e tiaminasi e di un alcaloide, la fagina, la cui assunzione presenta un certo grado di tossicità,, soprattutto per i bambini Le faggiole contengono anche un’alta percentuale di un olio di buona qualità di cui, in passato, si è tentata la produzione per usi commerciali ma che è risultata economicamente poco conveniente da un punto di vista concorrenziale. Uso Cosmetologico Dall’estratto di gemme di faggio si ottiene la gatulina, una sostanza che entra in svariati prodotti cosetici e alla quale è riconosciuta un’azione ossigenante per i tessuti della pelle, valida a mantenerne l’elasticità e a ridurre il processo di invecchiamento. Uso Farmacologico Dalla distillazione a secco del catrame di faggio si ottiene il creosoto, una potente sostanza antisettica che venne usata, per parte dell’ottocento, come balsamico e antisettico nelle affezioni dell’apparato respiratorio e nella tubercolosi polmonare, prima dell’avvento dei farmaci antitubercolari di sintesi. Si tratta di una sostanza irritante, usata anche come conservante del legno, per esempio nelle traversine ferroviarie, di cui la Comunità Europea ha vietato l’utilizzo, nel 2001, poiché presenta un significativo rischio di insorgenza di tumori. Tutti i trattamenti farmacologici e sanitari devono sempre essere eseguiti sotto stretto e diretto controllo medico. Medicina alternativa e Curiosità In gemmoterapia”, la pianta viene usata per la sua azione sui reni ed è indicata per insufficienza renale, litiasi e obesità da ritenzione idrica. Il macerato di gemme viene anche usato per stimolare le difese organiche e per favorire la produzione di gammaglobuline. Nella tradizone popolare del Casentino la polvere di legno di Fagus sylvatica, prodotta dall’azione dei tarli, veniva impiegata per uso topico, nella cura e nella prevenzione delle piaghe da decubito. Il decotto di corteccia, dei giovani tronchi, veniva usato come febbrifugo ed ottimo succedaneo della china. Nei fiori di Bach, è usata l'essenza per curare l'arroganza e l'intolleranza verso gli altri e che, in genere, manifestano atteggiamenti di censura nei confronti degli altri. Nel folklore britannico ed irlandese questa pianta simboleggia la buona fortuna, la sagezza e la stabilità. Una antica credenza recita che scrivendo il proprio nome su un pezzo di corteccia di faggio e poi seppellendolo nella terra si ottiene che il desiderio del proprio core venga esaudito. Note In Liguria, dal colle del Melogno fino a Calizzano, si osserva uno spettacolo straordinario, cioè ci si addentra , quella che è definita:la faggeta più bella d'Europa, con le piante che fiancheggiano la strada, in uno scenario cangiante, a seconda delle stagioni.In estate i rami, partendo dai bei tronchi, si intrecciano, a formare fittissime cupole, tanto da non vedere il sole, e danno origine ad una frescura e ombra, davvero unica, ma sotto non c'è ombra di vegetazione, ed i nonni raccontano che una volta, le streghe ci danzavano, calpestando talmente il suolo, che lo resero sterile e ostile perfino all'erba. Nel comune di Mallare ci sono faggi monumentali e di valore storico, chiamati “faggi di Benevento”, di oltre 34 metri di altezza. Il legno, molto duro, viene usato per produrre mobili e pavimenti, oggetti torniti quali:forme per scarpe, calcinato, fornisce un carbone, valido come antiacido; distillato, produce catrame vegetale,( ottimo nella cura di molte malattie della pelle), successivamente il creosato, potente disinfettante, delle vie respiratorie, un tempo usato, anche nella tubercolosi. Viene usato anche per l'affumicazione dei pesci e insaccati. Le fagiole forniscono anche olio per illuminazione o per saponi. La terra intorno ai faggi è molto ricca di humus, e molti fioristi ed agricoltori, la usano come fertilizzante. Scheda di proprietà AMINT realizzata da Marika, da Annamaria Bononcini e G.B. Pau - Approvata e Revisionata dal Gruppo di Coordinamento dell'Area Botanica Link utili Indici temi Botanici - Galleria dei Fiori Piante e Frutti dell'Associazione AMINT Fagus sylvatica-foto di Marika faggeta in estate
Gruppo Botanico AMINT Inviato 5 Novembre 2008 Autore Inviato 5 Novembre 2008 Fagus sylvatica L. - Foto di Marika faggeta in autunno
Gruppo Botanico AMINT Inviato 5 Novembre 2008 Autore Inviato 5 Novembre 2008 Fagus sylvatica L. - Foto di Marika Tronchi di giovani piante.
Gruppo Botanico AMINT Inviato 5 Novembre 2008 Autore Inviato 5 Novembre 2008 Fagus sylvatica L. - Foto di Marika Particolare di tronco adulto.
Gruppo Botanico AMINT Inviato 5 Novembre 2008 Autore Inviato 5 Novembre 2008 Fagus sylvatica L. - Foto di Marika Cupole in fase di accrescimento.
Gruppo Botanico AMINT Inviato 5 Novembre 2008 Autore Inviato 5 Novembre 2008 Fagus sylvatica L. - Foto di Marika Foglie.
Gruppo Botanico AMINT Inviato 5 Novembre 2008 Autore Inviato 5 Novembre 2008 Fagus sylvatica L. - Foto di Marika Foglie.
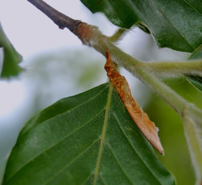
Gruppo Botanico AMINT Inviato 5 Novembre 2008 Autore Inviato 5 Novembre 2008 Fagus sylvatica L. - Foto di Marika Particolare dei peletti alla base delle foglie.
Gruppo Botanico AMINT Inviato 5 Novembre 2008 Autore Inviato 5 Novembre 2008 Fagus sylvatica L. - Foto di Marika Germoglio, futura pianta.
Gruppo Botanico AMINT Inviato 5 Novembre 2008 Autore Inviato 5 Novembre 2008 Fagus sylvatica L. - Foto di Marika Germoglio, futura pianta.
Recommended Posts