Gruppo Botanico AMINT Inviato 7 Dicembre 2009 Inviato 7 Dicembre 2009 Trachelospermum jasminoides (Lindl.) Lem. (1851) Sinonimi Rhyncospermum jasminoides Lindl. (1846) Parechites adnascens Hance (1868) Trachelospermum bowringii (Hance) Hemsl. (1889) Tassonomia Divisione: Magnoliophyta Classe: Magnoliopsida Ordine: Gentianales Famiglia: Apocynaceae Nomi italiano Falso gelsomino; Rincospermo Etimologia Il nome del genere deriva dal greco τράχηλος (tràcēlós) = collo e da σπέρμα (sperma) = seme, forse in riferimento al fatto che il calice fiorale rimane integro anche durante la fruttificazione, dando l'impressione che alla base di ciascuna infruttescenza ci sia un collare; alcuni autori, con palese forzatura, ritengono che invece la radice trachelo- derivi dall'altro termine greco (aggettivo) τραχύς, -εῖα, -ὺ (trac-ỳs, -eĩa, -ỳ) = ruvido, e in tal caso il nome Trachelospermum dovrebbe significare, letterarmente, "dal frutto ruvido"; in realtà questo aggettivo dovrebbe riferirsi alla τραχεῖα αρτηρία (traceĩa artēría) = trachea, e quindi alle trachee, cioè i vasi conduttori delle piante vascolari, da cui il significato "il cui frutto porta vasi conduttori", forse in riferimento al fatto che i follicoli sono lattiginosi come i rami. L'epiteto jasminoides è un termine latino che significa "somigliante al gelsomino (Jasminum)" per le evidenti analogie con questo genere. Descrizione Arbusto o cespuglio sempreverde, rampicante, alto fino a 8-10 (12) m, con fusti semilegnosi-lattiginosi (lattice bianco-candido), volubili, che si attorcigliano a qualsiasi tipo di supporto, fragili al piegamento, ingrossati ai nodi; nuovi getti dapprima verdastri, poi bruno-rossicci, inizialmente pubescenti per peli semplici ad essi appressati, poi glabri. Corteccia bruna nei rami giovani, tendente a diventare bruno-grigiastra con l'età, dapprima liscia, poi fessurata per screpolature longitudinali, poi, sui fusti più annosi, squamoso-verrucosa. Specie adatta anche alla coltivazione in vaso, necessita di non meno di 2-3 ore giornaliere di irradiazione solare diretta, e moderata umidità; nel periodo di fioritura, (fine primavera - mezza estate) è più esigente in termini di qualità del terreno e di umidità, per cui andrebbe aiutata con concimazioni e innaffiature regolari. La potatura può essere praticata in qualsiasi periodo dell'anno; abbastanza tollerante ai climi rigidi, inizia a soffrire al di sotto dei -5°C. Foglie Opposte, brevemente picciolate, semplici, coriacee, lunghe fino a 11 cm; lamina da lanceolata a ovata a ellittica, margine intero, apice da acuto a acuminato a cuspidato; pagina superiore glabra, color verde carico e lucida, quella inferiore più chiara, lucida, glabra o glabrescente, pubescente (peli difficilmente distinguibili ad occhio nudo) in fase giovanile; picciolo da glabro a lassamente peloso a pubescente (solo nei ramoscelli più giovani). Fiori I fiori sono ermafroditi, attinomorfi, molto profumati (il profumo ricorda quello del gelsomino), riuniti in cime generalmente portate all'apice dei rami, o al più all'ascella delle foglie terminali; calice gamosepalo, verde, con 5 denti revoluti, persistente anche durante la fruttificazione; corolla gamopetala, bianco-candida, con 5 lobi patenti, profondamente divisi, spatolato-asimmetrici e disposti ad elica rispetto all'asse del tubo, con diametro che può arrivare fino a 2,5 cm; stami 5, inseriti nel tubo corollino e di questo più brevi; ovario supero 2-carpellare, stilo più breve del tubo corollino. Frutti Infruttescenze ± pendule formate da 2 follicoli rigidi e allungati (fusiformi), generalmente divergenti (a volte paralleli), saldati alla base, con superficie subliscia, dapprima verdi, poi rossastri, lattiginosi prima della maturazione; semi allungati, subcilindrici, provvisti, ad un'etremità, di un ciuffo di lunghi peli che ne consentono la dispersione per mezzo del vento. Periodo di fioritura Fiorisce da maggio a luglio. Territorio di crescita Specie originaria di Cina, Corea e Giappone; coltivata a fini ornamentali in tutto il territorio italiano, ad esclusione di alcune Regioni settentrionali. Habitat Giardini, parchi. Somiglianze e varietà Trachelospermum asiaticum Nakai, con corolla rosso-porporina, infiorescenze ascellari, foglie oblanceolate-obovate; Trachelospermum axillare Hook. con infiorescenze vistosamente più allungate, anche i singoli fiori sono portati da pedicelli più allungati, hanno corolla bianco-giallastra, con lobi più slargati soprattutto all'apice, somiglianti, per forma, a quelli del genere Vinca. Specie protetta Non esistono vincoli di tutela legati alla coltivazione o alla commercializzazione di questa specie. Costituenti chimici Lignani, flavonoidi, alcaloidi indolici (ibogaina, tabernaemontanina, vobasina e voacangina). Uso Alimentare Non si conoscono usi alimentari per la pianta, che anzi è da considerarsi potenzialmente pericolosa per cani e gatti domestici, in quanto l'ingestione può provocare forti infiammazioni gastroenteriche e innalzamenti del fosforo nell'organismo. Uso Cosmetologico Dal Trachelospermum jasminoides si estrae un olio, molto delicato, che viene impiegato in profumeria. Uso Farmacologico I lignani contenuti nella pianta sono fitoestrogeni che aiutano a mantenere il cuore sano e potenziano le difese immunitarie. Ad essi viene riconosciuta la capacità di contrastare e prevenire alcune forme tumorali. Foglie e fusto contengono inoltre un alcaloide, l'ibogaina, che si è dimostrata efficace a contrastare la sindrome da astinenza da oppiacei. Tutti i trattamenti farmacologici e sanitari devono sempre essere eseguiti sotto stretto e diretto controllo medico. Medicina alternativa e Curiosità La medicina tradizionale cinese ricava dagli steli della pianta un rimedio chiamato Luo Shi Teng, usato contro i malanni dell'età avanzata come le artriti e le malattie cardiache e per curare ascessi e foruncolosi. Sempre in Cina, dalla corteccia interna degli steli di esemplari adulti si ricava una fibra usata per fare corde e sacchi. Note La pianta essuda una sostanza lattiginosa che macchia i vestiti e può irritare la pelle; la fragranza dei fiori può causare emicrania nei soggetti sensibili. Come pianta tappezzante, si presta bene a ricoprire grate e colonne. La specie è adatta ad essere coltivata come bonsai. Scheda di proprietà AMINT realizzata da Marika, G.B.Pau, Annamaria Bononcini e Mauro Cittadini - Approvata e Revisionata dal Gruppo di Coordinamento dell'Area Botanica Link utili Indici temi Botanici - Galleria dei Fiori Piante e Frutti dell'Associazione AMINT Trachelospermum jasminoides (Lindl.) Lem. (1851); Regione Liguria; Giugno 2008; Foto di Marika Ligure. Pianta in totale antesi.
Gruppo Botanico AMINT Inviato 7 Dicembre 2009 Autore Inviato 7 Dicembre 2009 Trachelospermum jasminoides (Lindl.) Lem. (1851); Regione Liguria; Giugno 2008; Foto di Marika Ligure. Particolare dei fiori a forma di elica.
Gruppo Botanico AMINT Inviato 7 Dicembre 2009 Autore Inviato 7 Dicembre 2009 Trachelospermum jasminoides (Lindl.) Lem. (1851); Regione Marche; Giugno 2008; Foto di Pietro Curti.
Gruppo Botanico AMINT Inviato 7 Dicembre 2009 Autore Inviato 7 Dicembre 2009 Trachelospermum jasminoides (Lindl.) Lem. (1851); Regione Marche; Giugno 2008; Foto di Pietro Curti.
Gruppo Botanico AMINT Inviato 7 Dicembre 2009 Autore Inviato 7 Dicembre 2009 Trachelospermum jasminoides (Lindl.) Lem. (1851); Regione Marche; Giugno 2008; Foto di Pietro Curti.
Gruppo Botanico AMINT Inviato 7 Dicembre 2009 Autore Inviato 7 Dicembre 2009 Trachelospermum jasminoides (Lindl.) Lem. (1851); Regione Sardegna; 29 Settembre 2008; Foto di Gian Battista Pau. Il frutto - qui in fase di maturazione - è composto da due follicoli divergenti portati da un comune peduncolo relativamente lungo.
Gruppo Botanico AMINT Inviato 7 Dicembre 2009 Autore Inviato 7 Dicembre 2009 Trachelospermum jasminoides (Lindl.) Lem. (1851); Regione Sardegna; 29 Settembre 2008; Foto di Gian Battista Pau. La fotografia rappresenta uno dei follicoli. Si nota abbastanza bene l'unica linea di sutura attraverso la quale il follicolo, a maturità, si apre per liberare i semi.
Gruppo Botanico AMINT Inviato 7 Dicembre 2009 Autore Inviato 7 Dicembre 2009 Trachelospermum jasminoides (Lindl.) Lem. (1851); Regione Sardegna; 29 Settembre 2008; Foto di Gian Battista Pau. Foto "notturna" del frutto.
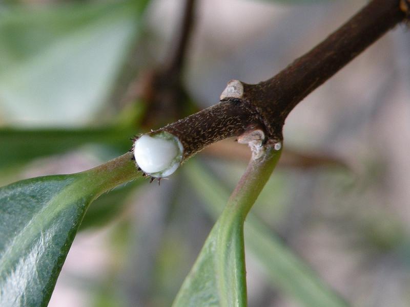
Gruppo Botanico AMINT Inviato 7 Dicembre 2009 Autore Inviato 7 Dicembre 2009 Trachelospermum jasminoides (Lindl.) Lem. (1851); Regione Sardegna; 29 Settembre 2008; Foto di Gian Battista Pau. Al taglio, il frutto e i giovani rami secernono un lattice vischioso e irritante.
Gruppo Botanico AMINT Inviato 7 Dicembre 2009 Autore Inviato 7 Dicembre 2009 Trachelospermum jasminoides (Lindl.) Lem. (1851); Regione Sardegna; 29 Settembre 2008; Foto di Gian Battista Pau.
Recommended Posts